i anketa Nužno je reagirati Upozorenje koje bi svi trebali čuti: Globalno zatopljenje gura Zemlju sve dalje u propast
i anketa na udaru Ragase Superoluja juri prema njima, spremaju se za najgore: More će rasti do pet metara, zatvaraju se škole
i anketa Na udaru suše Ogroman problem na istoku Hrvatske: Predvodnici su u navodnjavanju, ali čak im ni to ne pomaže, proglašena nepogoda
i anketa Hrabrost ili ludost? Priroda je podivljala, a oni su uspjeli snimiti zastrašujuće prizore čistog kaosa
i anketa Jedan od najjačih Supertajfun odnio prve živote: Milijuni evakuirani, poznate tvornice automobila prekinule rad
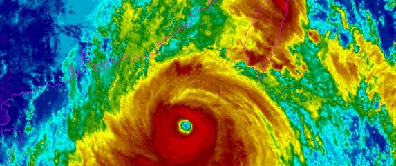
i anketa najraniji uragan VIDEO Zastrašujuće snimke oluje iz svemira: Razorni uragan s udarima vjetra do 250 kilometara na sat sravnio otok
i anketa Prva crta obrane Raketama protiv oblaka: Suverenisti od ministra traže hitno uvođenje protugradne obrane
i anketa Globalno zatopljenje Poplave u Švicarskoj, pao snijeg u Alpama: Željeznički promet mjestimice obustavljen zbog odrona, u nekim naseljima zagađena voda za piće
i anketa objavilo ministarstvo Donesen Pravilnik o ranom upozoravanju, sutra stupa na snagu: Ovako će funkcionirati SRUUK
i anketa STIŽE VODENI VAL FOTO/VIDEO Apokaliptični prizori: Rastu vodostaji, dio Krapine bez struje, problemi i u Varaždinskoj županiji
i anketa Na terenu više od 600 vatrogasaca Vatrogasci imaju pune ruke posla: Više od 200 intervencija zbog nevremena